RITCEY – Aberdeen development must be sustainable
By JESSE RITCEY
Kamloops Naturalist Club
AT A PUBLIC HEARING on Tuesday, July 14, Kamloops City Council is being asked to amend planning guidelines to allow for less sustainable development in the Aberdeen area. You read that right, at a time when the planet is reeling from the twin crises of collapsing biodiversity and out of control climate change, Council is being asked to make development LESS sustainable.
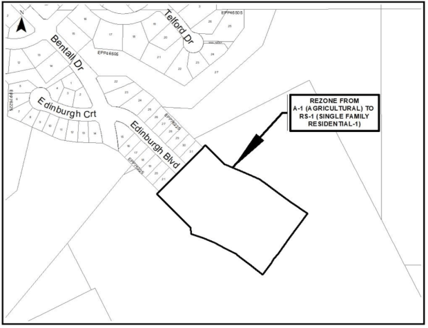
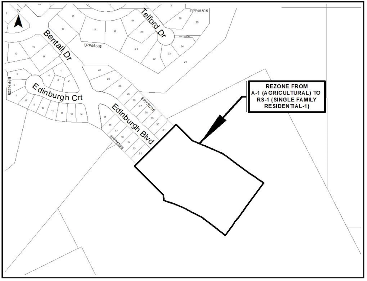
The area up for development is above Bentall drive at the southern edge of Aberdeen. Those who recall the discussion around the Ajax Mine proposal will know that the land has immense natural value. The grassland habitat in the area is rare (grasslands cover only 1.8 per cent of the province and have been highly impacted by development).
Also present is a diversity of wetlands and multiple aspen groves that together are known to support at least six species at risk, have the potential to support a further 31 species at risk, and are known to provide habitat for a wide variety of more common flora and fauna.
If we want future generations to know such wonders as the North American Badger, Spadefoot Toads, and Sharp-tailed Grouse then we need to leave space for them to live.
At the same time, everyone recognizes that Kamloops is a growing city. Plans have long been in the works for the Southwest sector to absorb 43 per cent of future growth. The land is also privately owned and it is certainly within the right of the owner to seek to develop it.
So the question becomes how do we balance growth with habitat protection? That is where the concept of ‘sustainable development’ comes in and why it is so important that Council rejects the proposed amendments to planning guidelines.
The current guidelines already do a good job of striking the right balance. Developed in 2008, the Aberdeen Area Plan brought together a wide variety of stakeholders representing interests such as development, recreation, ranching, and conservation. It could have been improved by focusing more on the importance of the area to Secwepemc people, in whose traditional and unceded territory the land falls, but otherwise still stands up.
The document was informed by an ecological assessment and provided a roadmap for sustainable development. A consultant with experience in facilitation and mediation was brought in and the resulting compromise was carefully balanced, with no side getting everything they wanted.
Unfortunately, 12 years later the development side is unilaterally seeking to undo this compromise and decrease the share of land set aside for nature in order to maximize their profits. City planners are on board and downplaying the significance of these changes as simply a routine update, writing:
“It should be noted the current application is located entirely within the existing growth boundary identified in the original 2008 Aberdeen Plan and there is no proposed increase to density. As land develops over time plans often require adjustment to address issues like road alignment, geotechnical constraints, community needs such as schools, parks and commercial development.”
This is a bit misleading. By density, they mean population, which is set at the equivalent of 1,600 residential units. But tucked in the amendment is a proposal to change the composition of these units, from 70 per cent multi-family/30 per cent single-family to 50 per cent multi-family/50 per cent single family. Simply put, the same amount of people will live in the area, they will just be more sprawled out. The consequence of building out, not up, is that there will be less land left for nature.
In addition to its larger development footprint, single family housing is considered less sustainable because it is associated with car-centric neighborhoods. In the 2008 plan this neighborhood was meant to be walkable, with amenities like a neighborhood pub/restaurant and corner store, integrated into a multi-family development area.
Of the 30 per cent single family housing that was permitted in the 2008 plan, much of it took the form of ‘cluster residential’. Cluster residential is densely placed housing, with minimal private yard space, meant to protect open spaces. Forty per cent of land area in these zones was meant to be retained as open space, with priority given to retaining large, publicly accessible, and contiguous blocks of habitat that the ecological assessment identified as particularly valuable. Unfortunately, this goal seems to have been dropped, with a planner writing to me:
“It will not necessarily be public open space unless it is designated as open space in the OCP [official community plan]. It could potentially be a strata development that clusters the dwellings and retains a larger common property area as open space for the strata to use.”
So a strata lawn and garden common area would be just as eligible for consideration as an aspen grove providing services like bird habitat, water purification, and fire protection. It is understandable why those involved in the 2008 process would be deeply unimpressed with the direction this is heading.
City planners insist that these environmental concerns are unfounded because future subdivision proposals and building permit applications could trigger a requirement for an assessment by a qualified environmental professional. This misses the point, approving these changes locks in an unsustainable development pattern that retains very little of the large blocks of natural habitat areas that are needed.
Council should reject the proposed planning guideline amendments and reaffirm that the 2008 sustainable development vision still stands. Conservationists are eager to work with the developer and planners on needed updates to the plan, but don’t think such drastic land use changes should be brought in disguised as a routine update.
If you share these concerns you can send an e-mail to legislate@kamloops.ca with the subject line OCP Amendment Application #OCP00129 by noon on Friday, July 10. To be considered, a submission must include your name and street address, and becomes a matter of public record. For details on attending in person or virtually go here:
https://www.kamloops.ca/city-hall/city-government/city-council/council-meetings-public-hearings/public-hearing-23



As our population increases, there is a need for more housing. This can be addressed by constructing up, not out. Our wild spaces are rapidly being developed by huge single family dwellings that are not affordable for most people today. Perhaps higher density, such as row housing could achieve the need, yet leave some natural spaces for future generations. “Don’t it always seem to go that you don’t know what you’ve got ’till it’s gone. They paved paradise, put up a parking lot.”
LikeLike
The singles biggest economic indicators fully subscribed by the “authorities” at the City of Kamloops is building permits/housing starts. No aspen groves will impede any of that. Council will do what administrators will tell them. Watch it happening!
LikeLike